Auf dieser Seite finden Sie Informationen über den Heilungsverlauf und die Nachsorge unmittelbar nach einer TTA RAPID® Operation.
Nachsorge: Heilungsverlauf nach TTA RAPID® OP
Über 100,000 invalide Hunde können dank des revolutionären Knieimplantats TTA RAPID® wieder laufen.
Im Vergleich zu vielen früheren Behandlungsmethoden, ermöglichen die 3D hergestellten Implantate aus Titan dem Knochen, das Implantat vollständig zu durchwachsen.
Im Allgemeinen ist zu beobachten, dass Hunde nach einer TTA RAPID® Operation den Fuß unmittelbar nach der Operation bereits wieder auf dem Boden aufsetzen. Dieses positive Gangbild verfestigt sich mit der Zeit immer mehr.
Nachsorge: Regeln für Hundehalter
In Studien wurde bestätigt, dass Hunde, die mit TTA RAPID® operiert worden sind, kurz nach der Operation bereits wieder schmerzfrei und leidensfrei sind – dies gilt insbesondere im Vergleich zur TPLO Methode.
Der langfristige Erfolg von allen Operationen, insbesondere bei Knochenoperationen, hängt jedoch auch von der Disziplin des Tierhalters ab.
Der langfristige Erfolg von allen Operationen, insbesondere bei Knochenoperationen, hängt jedoch auch von der Disziplin des Tierhalters ab.
Bitte lassen Sie sich von Ihrem Tierarzt genaue Instruktionen zur Nachsorge geben und halten Sie sich zudem bitte an folgende Richtwerte:
Mindestens 6 Wochen an der Leine
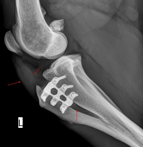
Wie bei anderen Operationen auch, halten Sie Ihren Hund nach einer Operation mit TTA RAPID bitte für mindestens 6 Wochen an der Leine. Denn im Vergleich zum Menschen vergisst der Hund, dass er operiert worden ist, sobald er keine Schmerzen mehr hat. Seien Sie sich jedoch immer bewusst, dass es in Ihrem Hund unmittelbar nach der OP so aussieht:
TTA RAPID® Röntgenbild direkt nach der Operation →

Kontrollierte Aktivität für 12 Wochen
Der Knochen hat noch nicht seine ursprüngliche Stabilität erreicht. Stöckchen werfen, Ball spielen, Begrüßungstänzchen, Sprünge und Raufen mit anderen Hunden sind für 12 Wochen absolut tabu. Auch sind Treppenläufe und -stürze (!) zu vermeiden. Vermeiden Sie, dass Ihr Hund ungebremst durch die Wohnung läuft. Ihr Hund braucht Schonung. Am besten stellen Sie sich vor, wie Sie sich verhalten würden, wenn Sie selbst am Knie operiert worden wären.
Erst mit der Zeit verwächst sich der Knochen mit dem Implantat und erlangt anschließend wieder seine vollständige Stabilität. Folgendes Bild zeigt denselben TTA RAPID® Käfig 16 Monate nach der Operation. Hier ist zu sehen, wie der Knochen dank der neuartigen 3D-Herstellung von TTA RAPID vollständig durch das Implantat hindurch wachsen konnte.
Erst mit der Zeit verwächst sich der Knochen mit dem Implantat und erlangt anschließend wieder seine vollständige Stabilität. Folgendes Bild zeigt denselben TTA RAPID® Käfig 16 Monate nach der Operation. Hier ist zu sehen, wie der Knochen dank der neuartigen 3D-Herstellung von TTA RAPID vollständig durch das Implantat hindurch wachsen konnte.
TTA RAPID® Röntgenbild 16 Monate nach der Operation →

Bewegungstherapie
Gleichzeitig ist es jedoch wichtig, dass sich Ihr Hund nach der Operation gleich wieder bewegt und das Bein wieder genutzt wird. Dies geschieht durch kontrollierte Spaziergänge, in denen Sie besonders langsam gehen. In Absprache mit Ihrem Tierarzt beginnen Sie dreimal täglich mit je 5-minütigen Spaziergängen, welche dann im Lauf der Nachsorge schrittweise erhöht werden.
Bitte fragen Sie Ihren Tierarzt nach seiner individuellen Nachsorgeempfehlung mit Hinblick auf Ihre hier erworbenen Kenntnisse.
Wir wünschen Ihnen, Ihrem Hund oder Ihrer Katze alles Gute und eine gute Genesung!
Wir wünschen Ihnen, Ihrem Hund oder Ihrer Katze alles Gute und eine gute Genesung!
Fragen?
Sie können uns anrufen unter +49 7463 992 910 (Deutschland) oder klicken Sie unten um uns eine E-Mail schicken. ODER füllen Sie das Formular auf der rechten Seite aus und senden Sie es ab.

TTA RAPID® & RAPID Patella Luxation
Mit dem Absenden dieses Formulars erklären Sie sich damit einverstanden, dass Ihre Daten von der Rita Leibinger GmbH & Co. KG zur Bearbeitung Ihrer Anfrage bzw. Beantwortung Ihrer Nachricht gespeichert werden. Außerdem bestätigen Sie hiermit, dass Sie unsere Datenschutzerklärung gelesen haben und diese akzeptieren.
