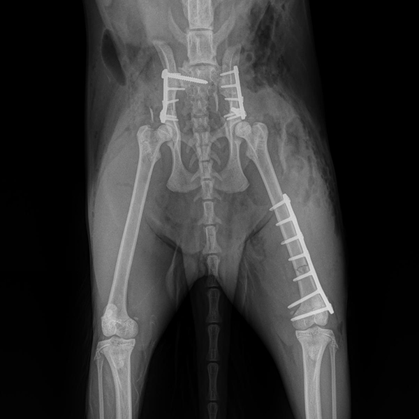
Case Overview In November 2025, Skeeter, a 14-week-old Doodle puppy weighing ...
Orthopedic Implants & Veterinary Courses for Animal Surgery
What we do
Create equal conditions for Veterinarians
Veterinary surgeries require passion and knowledge. But even if you are passionate and skilled, many surgeries can still be challenging. While human surgeons can fall back on the best implant solutions and technology, veterinary surgeons often have to improvise. Our mission is to create equal conditions and to help veterinary surgeons perfect their surgical skills.
Research & Development
We develop all of our products in cooperation with Universities and Key Opinion Leaders.
Our implants must be successfully tested and approved before they go out to the market.
Production
We aim for superior quality. Therefore, we produce the majority of our products ourselves. The other few products are produced by high quality technology leading partners in the USA & Europe.
Education & Support
Our service begins with engineering the systems and does not end until the surgery is successfully done.
Therefore, we offer multi-level support including Wet-Labs, Online-Trainings and Virtual Video-Assistance.
Products
Technology Leading Manufacturing
A Titanium LeiLOX CBLO Plate is born in one of our in-house machines:





why we do it
We are passionate
-

Rita Leibinger with her dachshund "Siri" (middle)
Rita is not only entrepreneur in veterinary technology - she is also a dedicated dog lover and passionate dog sports woman.
Seeing happy and healthy dogs makes her happy, too.
We've done it for generations

Old machine from Rita's father Oswald Leibinger
Rita Leibinger learned and worked at her father’s company, Oswald Leibinger GmbH, which was one of the leading companies in human maxillofacial plating technology and therefore acquired by a major U.S. company in the 1990s.
Together with her husband Kurt and her sons Nelson and Gordon, Rita today lives out her dream of running a company dedicated to helping animals and veterinarians.
We aim for the best
-

Dachshund "Siri" is our unofficial C.E.O.
We believe in-house development, in-house engineering and in-house manufacturing. Our customers appreciate our products because they are designed and manufactured from the same hands - with experience and passion. Our clients can trust in the high quality implants from Rita Leibinger in Germany.
Social Commitment


News | Announcements | Success Stories
October 30, 2025
Pioneering Small PatientOrthopedics with the 1.5 mmLeiLOX TPLO Swing Titanium Plate ...
Stay up-to-date
Follow us on social media
testimonials
What they say
Rafal Korta
ARWET Veterinary Hospital
What I like about Rita Leibinger is reliability, responsibility and taking care of customers. To treat animals properly, surgeon has to have confidence to his knowledge, experience but also to his equipment.
Dr. Gary Bogner
Sunset Beach Veterinary Clinic
I have now done 222 surgical procedures using TTA RAPID.
What I love about Rita Leibinger products is that they are of a very high quality and that the results using this technique are very good.
I have been approached by other companies to use their products but have decided to stay with the Rita Leibinger products.






















